Consultation / VISIA Analysis
Complimentary to the patient at anytime, we care and want to reach your skin care goals together
Visia Complexion Analysis is the tool we use so you the patient, can see, side-by-side analysis and assessment over time and anytime. This progress report is the most valuable measurement of your treatments. Besides the obvious, you look more refreshed, the skin is balanced and bright again! Laser treatments are expensive. The last thing we want to hear is that you didn’t see a result. Since 2006, Eileen has been using the Visia. We know patient satisfaction increases when you the client see progress with lasting results over time. Sometimes we forget our starting point but the Visia will tell the story. We customize treatment plans for facial rejuvenation treatment and ongoing skin care that is very individual. No two people are the same and their skin care should not be the same. Different lasers and skin care for different seasons. The customization with offering a wide variety of lasers and skincare sets us apart from others.
Eileen’s Experience Counts: 
Eileen is happy to share her Visia from 2006, 2010 and 2016. The difference is remarkable! Eileen will share tricks of the trade.
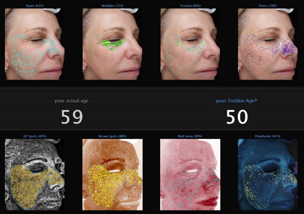
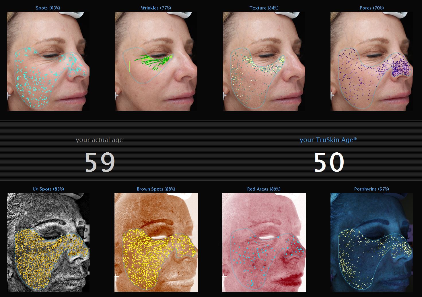
IntelliFlash®, cross-polarized and UV lighting are used to record and measure surface and subsurface skin conditions. UV photography provides the most complete data set available for sun damage assessment and analysis, including UV fluorescence imaging to reveal porphyrins.
Canfield’s RBX® Technology separates the unique color signatures of Red and Brown skin components for unequaled visualization of conditions such as spider veins, hyperpigmentation, rosacea, and acne.
Quantitative Analysis & Visual Assessment — Eileen’s Own Scan
TruSkin Age™
Determines the patient’s overall skin condition and age, providing a revolutionary new metric to guide the selection of skin care products and treatment options.
Eyelash Analysis
Evaluates the results of lash improvement treatments with numerical assessments and graphic visualizations.
Meaningful Comparisons
Compare results side by side for any combination of views, features or time points, including graphs and numerical data. Zoom and pan images in tandem for clear and easy comparisons.
3D Viewer
Visualize the skin’s surface in three dimensions from any angle, rendered in natural skin tone, color relief, or gray scale.
Percentile Scores
VISIA’s patented comparison to norms analysis uses the world’s largest skin feature database to grade a patient’s skin relative to others of the same age and skin type. Measure spots, wrinkles, texture, pores, UV spots, brown spots, red areas, and porphyrins.
Aging Simulation
Simulate the aging process to show clients older or younger by 5-7 years for spots, wrinkles or both.










